2011 Grape Growing Season | Grapevine Flowering and Grape Harvest Predictions

2011 Grape Growing Season | Grapevine Flowering and Grape Harvest Predictions

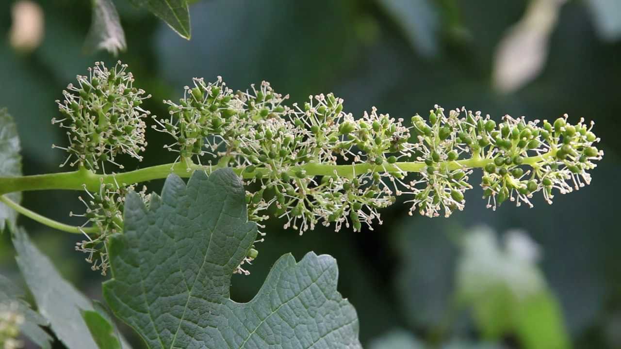
Jordan Viticulturist Brent Young discusses the flowering process of the grapevine life cycle and how inclement weather during flowering can affect the grape harvest, specifically in 2011. Learn how grapevines self-pollinate and how the second half of a grape growing season can paint a different picture at harvest.

http://blog.jordanwinery.com/2011/07/2011-growing-season-report-cool-spring-grapevine-flowering-delays/